- zondag 22 February 2026
- Het laatste nieuws uit Suriname
Paginering

Boze vrijheidsstrijder die zich altijd verraden voelde 07 sep 2019 - 09:29nrc.nl
Robert Mugabe in 2008, toen nog president van Zimbabwe.

CHINA NEGEERT SANCTIES EN SLUIT MILJARDENDEAL MET IRAN 07 sep 2019 - 09:17<p>China gaat de komende jaren miljarden investeren in de oliesector en de infrastructuur van Iran.

FACEBOOK LANCEERT DATING-APP MET GEHEIME ’CRUSH-LIJST’ IN TWINTIG LANDEN WAARONDER SURINAME 07 sep 2019 - 09:07Facebook stort zich op de datingmarkt.

OOK DAT IS ORKAAN DORIAN: BLOKKEN COKE SPOELEN AAN OP STRANDEN FLORIDA 07 sep 2019 - 09:05Een opmerkelijk crimineel toemaatje van orkaan Dorian: op twee stranden in de Amerikaanse staat Florida zijn al meer dan een dozijn pakken met cocaïne aangespoeld.

NPS: GRIMMIGHEID NOG LANG NIET VOORBIJ 07 sep 2019 - 09:01De politieke partij NPS verwacht in aanloop naar de verkiezingen, maar ook daarna wat zware overbruggingsmomenten voor Suriname.

Pleegzoon Bouterse weer in opspraak; aangifte tegen hem vanwege drugsdeal 07 sep 2019 - 08:58Romano Meriba, de pleegzoon van de Surinaamse president Desi Bouterse, is weer in opspraak.

Door België gezochte voortvluchtige in Suriname aangehouden 07 sep 2019 - 08:55De in Suriname geboren Nederlander Rudo Meiland, die in België veroordeeld is tot 15 jaar gevangenisstraf en voortvluchtig is, is aangehouden in Suriname.

Eerste eigen productie van Pathé Thuis is de film ‘Suriname’ 07 sep 2019 - 08:52Oud-kickbokser Rodney Glunder speelt een rol in de film Suriname.

Politieagenten aangehouden voor aannemen geld tijdens verkeerscontrole 07 sep 2019 - 08:49Twee politieagenten zijn aangehouden en in verzekering gesteld. Dit nadat zij geld zouden hebben aangenomen van een autobestuurder tijdens een verkeerscontrole.

Facebook lanceert datingdienst in Suriname 07 sep 2019 - 08:47Facebook heeft vandaag zijn datingdienst in 20 landen gelanceerd, waaronder Amerika, Canada, Mexico en Suriname.

Fotograaf legt dolfijn vast in orkaanwinden 04 sep 2019 - 20:56peopleoflancaster.com
FORT PIERCE, FL - Een fotograaf met The Weather Channel legde vanavond de kracht en tragedie vast van zwaar weer toen hij een dolfijn fotografeerde die gevangen was in de wind van orkaan Dorian.

Orkaan Dorian eist minstens vijf levens op Bahama's 03 sep 2019 - 07:14Nu.nl
De orkaan Dorian heeft het leven gekost aan minstens vijf mensen op de Abaco-eilanden in de Bahama's.

ONENIGHEID BINNEN NDP OVER AANNAME WIJZING ALCOA-DEAL 02 sep 2019 - 19:41Er bestaat veel onduidelijkheid over wat zich precies heeft afgespeeld tussen de voorzitter van De Nationale Assemblee (DNA), Jennifer Geerlings-Simons en haar eigen partijfractie.

Ontmoedigingstactiek regering werpt vruchten af 01 sep 2019 - 19:09parbode.com
Het is 9u58 in de avond. De vergadering van De Nationale Assemblée is al bijna vijf uur geschorst.

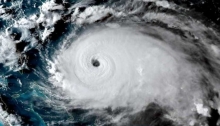
ORKAAN DORIAN NU IN ZWAARSTE CATEGORIE 01 sep 2019 - 18:59Unitednews.sr
MIAMI – De orkaan Dorian is uitgegroeid tot de zwaarste categorie 5 en stevent af op de Abaco Eilanden ten noorden van de Bahama’s voor de kust van de Amerikaanse staat Florida.

ONDERHOUD STUWDAM KOST JAARLIJKS USD 9 MILJOEN 01 sep 2019 - 18:45De Staat Suriname, of de entiteit die de Afobaka-waterwerken in beheer krijgt, zal jaarlijks gemiddeld USD 9 miljoen moeten ophoesten voor onderhoud en operationele kosten.

Alcoa niet akkoord met wijzigingsvoorstellen Assemblee oorspronkelijke conceptwet beëindiging Brokopondo Overeenkomst. 01 sep 2019 - 18:38Suriname Mirror
President Bouterse zou instemmen met verwijdering wijzigingsvoorstellen | Vicepresident Adhin: 'Berichtgeving over de reactie van Alcoa onjuist'

Een verdeeld land komt met Alcoa voorwaarden voor echtscheiding overeen 01 sep 2019 - 18:32post-gazette.com
Een Pittsburgh-bedrijf dat de geschiedenis van een Zuid-Amerikaans land een eeuw lang heeft gedomineerd, zal de sleutels van de regering van dat land na een parlementaire stemming vrijdag doorgeven

Dordtse Shafali wint landelijke missverkiezing: ‘Ik dacht dat ik niet verder zou komen dan de top 5’ 01 sep 2019 - 14:55Ad.nl
De Dordtse Shafali Nadia is gisteren uitgeroepen tot Miss Intercontinental of the Netherlands 2019. ,,Ik had dit totaal niet aan zien komen.’’

HET GROOT VERZUIM VAN DE REGERINGEN VENETIAAN- AJODHIA EN SARDJOE 01 sep 2019 - 14:20Fb
WAAR IS DE PRESIDENT ?


